Timeline

  • Typhoon Haiyan pushed the limit, but bigger storms are coming

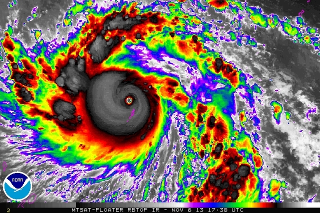
    Typhoon Haiyan pushed the limit, but bigger storms are coming

    Click HereExperts say Typhoon Haiyan was about as strong as it could theoretically get when it swept through the Philippines, killing thousands of people and driving hundreds of thousands from their homes. But intensity limits have been rising over decades past — and climate models suggest they will keep rising over the decades to come, with the potential for bigger and more devastating storms.
  • Syrian Army Captures Suburb South of Damascus

    Syrian Army Captures Suburb South of Damascus

    Click HereSyrian troops captured a contested suburb of Damascus on Wednesday as the government forged ahead with a punishing military offensive that already has taken four other opposition strongholds south of the capital, state media said. For more than a year, much of the belt of neighborhoods and towns just south of Damascus has been a rebel bastion and a key arms conduit for the opposition. But government forces — bolstered by fighters from Lebanon's Shiite militant Hezbollah group and Shiite militan
  • Sorry, Wrong Jonathan Martin

    Sorry, Wrong Jonathan Martin

    Click HereBesides the fact that I played guard and Martin is a tackle, I was also perplexed because, well, he is a 6-foot-5 312-pound professional football player, and I am a political reporter for The New York Times, who barely cracked 200 pounds at the height of my high school glory days.
  • The PlayStation 4: The Kotaku Review (In Progress)

    The PlayStation 4: The Kotaku Review (In Progress)

    Click HereHow good is the PlayStation 4? Ask me in five years. Ask me after Naughty Dog's next couple of games, after I figure out whether God of War is headed in the right direction, after I learn whether it has become unfathomable to play a console game without livestreaming it.
  • Mammoth U.S. Navy ships arrive in the Philippines to help typhoon victims

    Mammoth U.S. Navy ships arrive in the Philippines to help typhoon victims

    Click HereThe U.S. Navy arrived with a mammoth aircraft carrier Thursday to bring much-needed aid to hundreds of thousands of Filipinos who have gone without food and clean water for nearly a week.
    The Navy cut short the shore leave of the crew of 5,500 to send it on the relief mission to the area ripped apart last week by Typhoon Haiyan, one of the strongest cyclones on record.
  • NFL pushes back Dolphins meeting with Jonathan Martin

    NFL pushes back Dolphins meeting with Jonathan Martin

    [Click Here](>http://www.usatoday.com/story/sports/nfl/dolphins/2013/11/12/jonathan-martin-richie-incognito-miami-dolphins-bullying-incident/3511447/</a>)Miami Dolphins owner Steve Ross and CEO Tom Garfinkel have delayed their planned meeting with estranged right tackle Jonathan Martin at the request of the NFL. In another twist in the Martin/Richie Incognito saga, Dolphins players said they hadn't yet been informed about Ross' blue-ribbon committee that will develop a players' code of conduct for next season.
  • Florida State quarterback Jameis Winston investigated for sexual battery

    Florida State quarterback Jameis Winston investigated for sexual battery

    Click HereThe Tallahassee Police Department last year received a complaint of sexual battery against Florida State University star quarterback Jameis Winston. No charges have been filed against Winston, and the investigation remains active. An attorney representing Winston denied the allegation.
  • Hezbollah Leader Says His Forces Will Remain in Syria

    Hezbollah Leader Says His Forces Will Remain in Syria

    [Click Here](>http://www.nytimes.com/2013/11/15/world/middleeast/syria.html?_r=0</a>)The head of Hezbollah, the Lebanese Shiite militant group and political party, whose armed followers are fighting in Syria on the side of President Bashar al-Assad, pledged on Thursday that his forces would remain there as long as necessary.
  • Bombs Hit Famous Damascus Bazaar, Kill at Least 1

    Bombs Hit Famous Damascus Bazaar, Kill at Least 1

    Click HereA state-run Syrian TV channel says two bombs have exploded near a famous Damascus bazaar, killing at least one person. The Al-Ikhbariya station says Thursday's explosions close to the Hamidiyeh market in the old quarter of Damascus also wounded seven people. The TV says one of the bombs was detonated near a souk, killing one man and wounding six people, while the other struck on a nearby street, wounding one man.
  • Despite Obamacare fix, fight rages on in Congress

    Despite Obamacare fix, fight rages on in Congress

    Click Here</a>After hearing serious concerns from both Democrats and Republicans over the fact that millions of Americans are being dropped from insurance plans that no longer meet Obamacare standards, President Obama on Thursday offered a contrite apology and an administrative solution to the issue. The debate over the matter, however, isn't slowing down in Congress.
  • 'Oldest signs of life on Earth found'

    'Oldest signs of life on Earth found'

    Click HereScientists have discovered possibly the earliest signs of life on Earth – remains of bacteria that are almost three-and-a-half billion years old – in a remote region of north-west Australia.
    Evidence of the complex microbial ecosystem was found in sedimentary rocks in the remote Pilbara region in Western Australia, an area which contains some of the world's oldest rock formations.
  • IBM to Announce More Powerful Watson via the Internet

    IBM to Announce More Powerful Watson via the Internet

    Click HereOn Thursday IBM will announce that Watson, the computing system that beat all the humans on “Jeopardy!” two years ago, will be available in a form more than twice as powerful via the Internet. Companies, academics and individual software developers will be able to use it at a small fraction of the previous cost, drawing on IBM’s specialists in fields like computational linguistics to build machines that can interpret complex data and better interact with humans.
  • E-Cigarettes, Hookah Growing In Popularity Among U.S. Teens

    E-Cigarettes, Hookah Growing In Popularity Among U.S. Teens

    Click HereUnconventional tobacco products such as electronic cigarettes and hookahs are becoming more popular among U.S. teens, according to a new report from the Centers for Disease Control and Prevention. In 2012, 1.1 percent of middle school students reported using e-cigarettes, up from 0.6 percent in 2011. Among high school students, e-cigarette use rose from 1.5 percent to 2.8 percent, and hookah use increased from 4.1 percent to 5.4 percent over the same period.
  • Philippines government defends typhoon response

    Philippines government defends typhoon response

    Click HereUnder fire for the slow pace of its relief effort, the Philippine government Friday defended its handling of what might be the worst natural disaster in recent history. "In a situation like this, nothing is fast enough," Interior Secretary Max Roxas told reporters during a visit to Tacloban, the provincial capital that was largely destroyed by the typhoon a week earlier. "The need is massive, the need is immediate, and you can't reach everyone."
  • Philippine Corruption Magnifies Effects of Typhoon

    Philippine Corruption Magnifies Effects of Typhoon

    Click Here When a newspaper for Filipino workers in New Zealand told readers how to donate to the typhoon relief effort in their homeland, it mentioned agencies like the Red Cross but not a list of government bank accounts that the Philippine Embassy had sent over. "I'm not going to mince words," said Mel Fernandez, the editorial adviser for the Filipino Migrant News. "We would like every cent to reach those poor people there rather than getting waylaid."
  • Six killed as tornadoes rip through U.S. Midwest

    Six killed as tornadoes rip through U.S. Midwest

    Click Here A fast-moving storm system triggered multiple tornadoes on Sunday that killed at least six people and flattened large parts of a town in Illinois as it tore across the Midwest, authorities said. The tornadoes leveled scores of homes and demolished entire neighborhoods. Some 80 tornado reports were received, along with 358 reports of damaging winds and 40 reports of large hail, according to Rich Thompson, a lead forecaster with the weather service's Storm Prediction Center in Norman, Oklahoma.
  • Sony sells over 1 million PlayStation 4 consoles in just 24 hours

    Sony sells over 1 million PlayStation 4 consoles in just 24 hours

    Click HereSony’s next-gen PlayStation 4 console is off to a good start. The company announced today that it has sold over 1 million consoles in just 24 hours. Sony’s PlayStation 4 only launched on Friday in the US and Canada, so it's an impressive start for just two regions. "We are thrilled that consumer reaction has been so phenomenal," says Andrew House, president and group CEO of Sony Computer Entertainment. "Sales remain very strong in North America, and we expect continued enthusiasm as we launch th
  • Top Syrian rebel commander Abdul Qadir al-Saleh dies

    Top Syrian rebel commander Abdul Qadir al-Saleh dies

    Click HereA top Syrian rebel commander has died of wounds he sustained in an air strike on a rebel-held air base in Aleppo province on Thursday, his group says. Abdul Qadir al-Saleh, the leader of Liwa al-Tawhid, died overnight, a spokesman told the Associated Press. Liwa al-Tawhid is one of the main rebel forces in Aleppo and is estimated to have between 8,000 and 10,000 fighters.
  • Lawyer for Jameis Winston critical of state attorney

    Lawyer for Jameis Winston critical of state attorney

    Click HereJameis Winston's attorney said Sunday he was "deeply concerned" about comments made by State Attorney Willie Meggs regarding the investigation into sexual-battery allegations against the star Florida State quarterback. Tallahassee attorney Tim Jansen cried foul over comments made by Meggs in an Associated Press article published in the Sunday Democrat.
  • Typhoon Aid Reaches Remote Areas of Central Philippines

    Typhoon Aid Reaches Remote Areas of Central Philippines

    Click HereU.S. military helicopters delivered food, water and other supplies to villagers on Leyte island and in other remote communities Monday. The U.S. relief operation has so far delivered 11 tons of aid supplies and airlifted more than 8,000 survivors to safety. The Defense Department says 1,200 American soldiers are on the ground in the Philippines.
  • BLAST OFF! NASA's MAVEN Mars probe ROARS into orbit

    BLAST OFF! NASA's MAVEN Mars probe ROARS into orbit

    Click HereNASA's Mars probe MAVEN has successfully sneaked through its weather window and launched from Cape Canaveral at 13.28pm ET on Monday, before heavy weather could roll in and delay the launch.
  • Snowden files – survey shows confusion over NSA's role

    Snowden files – survey shows confusion over NSA's role

    Click Herehirty-nine percent of those questioned believe that the NSA’s bulk collection of all US telephone records — the 215 metadata program — includes listening in to the contents of those calls. In fact, the NSA collects data on the numbers dialed and the length of calls, not their content.
  • Syria peace conference likely in mid-December: UN

    Syria peace conference likely in mid-December: UN

    Click HereUnited Nations Secretary-General Ban Ki-moon said on Monday he expected a long-delayed peace conference on Syria's bloody conflict will be held in "mid-December" with a specific date to be set next week, AFP reported.
  • U.N. disaster chief stresses long-term needs for Philippines

    U.N. disaster chief stresses long-term needs for Philippines

    Click HereThe head of U.N. disaster relief visited the heart of the Philippine disaster zone on Tuesday and stressed the need for long-term planning as well as emergency relief to ensure farmers and fishermen can resume their livelihoods.
  • Geneva Talks Put Iran’s Nuclear Program in the Spotlight: Q&A

    Geneva Talks Put Iran’s Nuclear Program in the Spotlight: Q&A

    Click HereQ: What’s the objective of the Geneva negotiations? A: The U.S. and other world powers want to ensure that Iran can’t develop a nuclear weapon. Iran wants relief from the international sanctions that have devastated its economy. A first-step agreement, the subject of the negotiations resuming this week, is intended to prevent Iran from further advancing toward a nuclear-weapons capability for a limited time -- perhaps six months -- while the parties try to negotiate a comprehensive deal.
  • Lebanon blasts hit Iran's embassy in Beirut

    Lebanon blasts hit Iran's embassy in Beirut

    Click HereThere are conflicting reports as to whether the Iranian cultural attache survived the attack or was killed. Iran is a major backer of the Lebanese Shia militant group Hezbollah, which has sent fighters to Syria to back the government of Bashar al-Assad.
  • Car bomb kills 10 Egyptian soldiers in Sinai

    Car bomb kills 10 Egyptian soldiers in Sinai

    Click HereTen Egyptian soldiers were killed by a car bomb in the Sinai Peninsula on Wednesday, one of the deadliest attacks there since al Qaeda-inspired militants stepped up violence following the overthrow of Islamist President Mohamed Mursi.
  • Turmoil at UN climate talks as question of who’s to blame for global warming heats up

    Turmoil at UN climate talks as question of who’s to blame for global warming heats up

    Click HereAn old rift between rich and poor has reopened in U.N. climate talks as developing countries look for ways to make developed countries accept responsibility for global warming — and pay for it.
  • World powers, Iran in new attempt to reach nuclear deal

    World powers, Iran in new attempt to reach nuclear deal

    Click HereWorld powers aim to reach a preliminary deal to curb Iran's nuclear program in politically charged talks resuming in Geneva on Wednesday. Seeking to end a long standoff and head off the risk of a wider Middle East war, the United States, Russia, China, France, Britain and Germany came close to winning concessions from Iran on its nuclear work in return for some sanctions relief at negotiations earlier this month.
  • Indonesia halts Australia co-operation amid spying row

    Indonesia halts Australia co-operation amid spying row

    Click HerePresident Susilo Bambang Yudhoyono said the suspension included operations to stop people-smuggling, joint military exercises and intelligence exchange. The move came after Jakarta recalled its ambassador from Canberra on Monday.
  • NASA rocket lights night sky over Maryland

    NASA rocket lights night sky over Maryland

    Click HereA rocket streaked through the sky Tuesday night in Maryland and for hundreds of miles across the eastern U.S. as NASA launched a mission from the Delmarva peninsula.
    An Air Force Minotaur I rocket lifted off at 8:15 p.m. from NASA's Wallops Flight Facility in Virginia. The launch is performing various tests as part of the Air Force's Operationally Responsive Space Office's ORS-3 mission deploying satellites in space.
  • Search for survivors ends at collapsed South African building site

    Search for survivors ends at collapsed South African building site

    Click HereRescue workers called off the search for survivors at a collapsed South African building site on Wednesday, believing there are no more trapped construction workers beneath the half-built shopping mall.
  • Manhunt for Paris shooter enters third day

    Manhunt for Paris shooter enters third day

    Click Here
    French police continued the search Wednesday morning for a gunman who went on a shooting spree on Monday, seriously injuring a photographer at a Paris newspaper office and later opening fire outside a bank headquarters.
  • Google pays $17 million compensation over privacy breach

    Google pays $17 million compensation over privacy breach

    Click HereGoogle has agreed to pay $17 million in compensation to 37 US states over tracking consumers online without their knowledge.
    The settlement was for Google circumventing privacy settings in Apple’s Safari browser in 2011.
  • Beirut Bombs Strike at Iran as Assad’s Ally

    Beirut Bombs Strike at Iran as Assad’s Ally

    Click Here A double bombing struck the Iranian Embassy compound in Beirut on Tuesday, in the deadliest assault on Iran’s interests since it emerged as the most forceful backer of the Syrian government against an armed insurgency. The frontal attack struck a symbol of the country’s powerful influence in Lebanon and neighboring Syria.
  • Charges dropped against girls in Florida cyberbullying case

    Charges dropped against girls in Florida cyberbullying case

    Click Here Florida prosecutors dropped charges on Wednesday against two girls accused of stalking a 12-year-old classmate who killed herself after complaining she was bullied online for months, a police official said. Polk County Sheriff Grady Judd told reporters the two girls, aged 12 and 14, would no longer face charges of aggravated stalking and are undergoing counseling.
  • US Drone Strike on Pakistani Islamic Seminary Kills Six

    US Drone Strike on Pakistani Islamic Seminary Kills Six

    Click HereA suspected US drone strike on an Islamic seminary in Pakistan's Khyber Pakhtunkhwa province has killed six people including at least two Afghan militants, Pakistani security officials said. The drone attack took place in a densely populated area of the province, which is close to the Taliban strongholds of North and Northwest Pakistan where the CIA concentrates its drone operations.
  • Greenpeace Arctic 30: Russia grants bail to captain and two Britons

    Greenpeace Arctic 30: Russia grants bail to captain and two Britons

    Click HereCaptain Peter Wilcox, a Greenpeace veteran and Britons Alex Harris and Kieron Bryan were bailed, along with Faiza Oulahsen, a Dutch national and Mannes Ubels of the Netherlands. They join the nine other foreign detainees and three Russians to have already been granted bail.
  • Mars meteorite 1st look at Red Planet's ancient crust

    Mars meteorite 1st look at Red Planet's ancient crust

    Click HereA meteorite found last year in the Sahara Desert is likely the first recognized piece of ancient Martian crust, a new study reports. The Mars meteorite NWA 7533 is 4.4 billion years old and contains evidence of long-ago asteroid strikes, suggesting that the rock came from the Red Planet's ancient and cratered southern highlands, researchers said.
  • Paris shooting suspect Abdelhakim Dekhar previously lived in London

    Paris shooting suspect Abdelhakim Dekhar previously lived in London

    Click HereAbdelhakim Dekhar, 52, was was arrested on Wednesday night as he lay semi-conscious in a car in an underground car-park near Paris after taking an overdose. Authorities said that his DNA matches traces left by the gunman who grievously wounded a young photographer in the lobby of Liberation on Monday morning.
  • Google's Schmidt predicts end of censorship within a decade

    Google's Schmidt predicts end of censorship within a decade

    Click HereGoogle Inc (GOOG.O) Executive Chairman Eric Schmidt has a bold prediction: Censorship around the world could end in a decade, and better use of encryption will help people overcome government surveillance.
    In a lecture at Johns Hopkins University on Wednesday, the executive of the world's biggest web search company made a pitch for ending censorship in China and other countries with restricted freedom of speech by connecting everyone to the Internet and protecting their communication from spying
  • Sandy Hook investigative report due out Monday

    Sandy Hook investigative report due out Monday

    Click HereA report on the investigation into the Sandy Hook Elementary School shooting will be released Monday, Connecticut state officials announced.
    The report will provide a summary of the almost yearlong investigation of the December 14, 2012, shooting that left 26 people dead, including 20 children.
  • Congressional leaders cautious but accepting of Iran nuclear deal for now

    Congressional leaders cautious but accepting of Iran nuclear deal for now

    Click HereLeading members of Congress cautiously greeted the news of the six-month nuclear deal with Iran announced Saturday night as even Republicans critical of President Barack Obama’s approach signaled a resigned acceptance of the accord.
  • Ukraine unrest: Protesters blockade government sites

    Ukraine unrest: Protesters blockade government sites

    Click HereProtesters have put up barricades on Independence Square, while others are entrenched inside city hall. The unrest was triggered in November by President Viktor Yanukovych's refusal to sign a deal on closer EU ties. Opposition leaders have renewed demands that he stand down, and urged him to "stop political repression".
  • China launches its first moon rover mission

    China launches its first moon rover mission

    Click Here China successfully launched a lunar probe into space Monday morning, on a two-week journey to deliver a robotic rover to the surface of the moon. The mission marks China's first attempt at soft-landing a spacecraft on an extra-terrestrial body, and could benefit future plans to land Chinese astronauts on the moon.
  • New York City commuters warned of delays following derailment

    New York City commuters warned of delays following derailment

    Click HereCommuters from New York City's northern suburbs braced for travel delays on Monday morning following a seven-car train derailment that killed four people and injured 11 critically.
  • Thailand protests: Teargas fired amid renewed clashes

    Thailand protests: Teargas fired amid renewed clashes

    Click HereSome schools and universities closed, amid a call for a general strike on the ninth day of demonstrations. Over the weekend, protesters attempted to storm the prime minister's office, Government House. Four people have died in Thailand's worst political turmoil since the 2010 rallies that ended in violence.
  • Maths results a concern in PISA schools study

    Maths results a concern in PISA schools study

    Click HereAustralian 15-year-olds are falling behind in maths amid a sizeable gap between rich and poor students, an international test has shown.
    The Program for International Student Assessment, which assessed the performance of students from 65 countries, showed 16 nations were ''significantly higher'' than Australia.
    Australia recorded one of the largest declines in maths among OECD countries since 2000, a Fairfax Media analysis found.
  • US calls on China to rescind air defence zone to avoid Japan confrontation

    US calls on China to rescind air defence zone to avoid Japan confrontation

    Click HereThe US called on China to scrap its newly declared air defence identification zone on Monday, warning that Beijing risked a potentially dangerous confrontation with Japan and its allies at the start of a trip to the region by vice-president Joe Biden.
  • Detroit Braces for Bankruptcy Ruling

    Detroit Braces for Bankruptcy Ruling

    Click HereA federal judge is expected to rule Tuesday on whether Detroit is eligible for bankruptcy protection, a crucial step in the city’s effort to pay off part of its overwhelming debt and to begin rebuilding its vastly diminished city services.
  • Andy Rubin moves from building Android to building robots for Google

    Andy Rubin moves from building Android to building robots for Google

    Click HereAmazon has just revealed its robot-powered drone delivery plans. Now Google is also coming out with its more subdued vision for a more practical robot-filled future. And the tech giant has just the right man to lead it forward in the person of Android’s own Andy Rubin.
  • Biden visits China amid tensions over air defense zone

    Biden visits China amid tensions over air defense zone

    Click Here After reassuring U.S. ally Japan that Washington shares its concerns over China's new air defense zone, Vice President Joe Biden flew from Tokyo to Beijing Wednesday and raised the issue directly with Chinese leader Xi Jinping.
  • Let the Space Price War Begin

    Let the Space Price War Begin

    Click HereEleven years in, the grand entrepreneurial experiment called SpaceX still has to prove itself. On Tuesday evening it reached a major milestone, sending a satellite for paying customer SES into geostationary orbit. SpaceX has flown its Falcon 9 rocket seven times and shown that it can reach orbit, dock with the International Space Station, and bring cargo home. Now it’s put a satellite 22,236 miles above the earth’s surface for a fraction of the going price.
  • Nationwide Strike By Fast Food Workers Set for Thursday

    Nationwide Strike By Fast Food Workers Set for Thursday

    Click HereOrganizers say fast food restaurant workers in 100 U.S. cities will walk off the job Thursday, as part of a continuing push to raise wages above $15 an hour in the industry and secure the right to unionize.
  • 2 million Facebook, Gmail and Twitter passwords stolen in massive hack

    2 million Facebook, Gmail and Twitter passwords stolen in massive hack

    Click HereThe massive data breach was a result of keylogging software maliciously installed on an untold number of computers around the world, researchers at cybersecurity firm Trustwave said. The virus was capturing log-in credentials for key websites over the past month and sending those usernames and passwords to a server controlled by the hackers.
  • Microsoft to Expand Use of Encryption to Protect Against Spying

    Microsoft to Expand Use of Encryption to Protect Against Spying

    Click HereMicrosoft Corp. (MSFT) will expand the use of encryption to protect customer information, following reports that governments are intercepting data traveling between users and servers or between company data centers.
  • NSA tracking cellphone locations worldwide, Snowden documents show

    NSA tracking cellphone locations worldwide, Snowden documents show

    Click HereThe National Security Agency is gathering nearly 5 billion records a day on the whereabouts of cellphones around the world, according to top-secret documents and interviews with U.S. intelligence officials, enabling the agency to track the movements of individuals — and map their relationships — in ways that would have been previously unimaginable.
  • Baffling 400,000-Year-Old Clue to Human Origins

    Baffling 400,000-Year-Old Clue to Human Origins

    Click HereScientists have found the oldest DNA evidence yet of humans’ biological history. But instead of neatly clarifying human evolution, the finding is adding new mysteries.In a paper in the journal Nature, scientists reported Wednesday that they had retrieved ancient human DNA from a fossil dating back about 400,000 years, shattering the previous record of 100,000 years.
  • Chemical weapons: How Pentagon plans to destroy Syria's stockpile at sea

    Chemical weapons: How Pentagon plans to destroy Syria's stockpile at sea

    Click HereThe Pentagon has shed some more light on just how the international community plans to dispose of Syria’s most dangerous chemical weapons, which must be removed from the country by the end of December.
  • Astronomers discover planet that shouldn't be there

    Astronomers discover planet that shouldn't be there

    An international team of astronomers, led by a University of Arizona graduate student, has discovered the most distantly orbiting planet found to date around a single, sun-like star. It is the first exoplanet – a planet outside of our solar system – discovered at the UA. Weighing in at 11 times Jupiter's mass and orbiting its star at 650 times the average Earth-Sun distance, planet HD 106906 b is unlike anything in our own Solar System and throws a wrench in planet formation theories.
  • Nelson Mandela seized the opportunity of the Rugby World Cup 1995

    Nelson Mandela seized the opportunity of the Rugby World Cup 1995

    Click HereRugby was never a passion for Nelson Mandela, it was an opportunity. The sport of the white elite, the quasi-religion of the ruling class, the Springbok rugby side was detested and shunned by the black majority
    In TV footage of the Lions tour to South Africa in 1974, black fans penned into their tiny enclaves at grounds, can be seen cheering wildly as the Lions touch down for tries. My enemy’s enemy is my friend.
  • Tech giants call for controls on government surveillance

    Tech giants call for controls on government surveillance

    Click HereEight major technology companies have joined forces to call for tighter controls on government surveillance, issuing an open letter Monday to President Barack Obama arguing for reforms in the way the U.S. snoops on people.
  • Ukraine protests draw hundreds of riot police

    Ukraine protests draw hundreds of riot police

    Click HereHundreds of police in full riot gear flooded into the centre of Kyiv on Monday as mass anti-government protests gripped the Ukrainian capital for yet another week, raising fears of an imminent crackdown.
  • Storm creates messy commute across the Northeast, cancels thousands of flights

    Storm creates messy commute across the Northeast, cancels thousands of flights

    Click HereA plodding storm that dumped heavy snow, freezing rain and sleet on the Mid-Atlantic region created a messy Monday morning commute in the Northeast, while travel disruptions continued to ripple across the country days after the same system first began wreaking havoc in the skies.
  • Ukraine police stand down after clashing with defiant protesters

    Ukraine police stand down after clashing with defiant protesters

    Click HereSeveral thousand police in riot gear pulled back after clashing with protesters in the central square of the Ukrainian capital Wednesday following an overnight confrontation in which police scuffled with demonstrators as they dismantled barricades and evicted protesters from tents.
  • Antarctica records unofficial coldest temperature ever

    Antarctica records unofficial coldest temperature ever

    Click HereThere's cold, and then there's Antarctica cold. ... How does a frosty reading of 135.8 degrees below zero sound? Based on remote satellite measurements, scientists recently recorded that temperature at a desolate ice plateau in East Antarctica. It was the lowest temperature ever recorded on Earth, though it may not get that recognition in the official record book.
  • India's Top Court Declares Homosexuality Illegal

    India's Top Court Declares Homosexuality Illegal

    Click HerePronouncing its eagerly awaited verdict on homosexuality, the Supreme Court of India has criminalised consensual sex between two adults of the same gender. LGBT activists present in the court room broke down on hearing the verdict. Their relationships had earlier been legalised by the Delhi High Court.
  • The Obama-Castro handshake that shocked the world

    The Obama-Castro handshake that shocked the world

    Click HereWith a quick handshake, President Barack Obama and Cuban President Raul Castro whipped up a frenzy Tuesday that led many to wonder whether a shift is coming between the former Cold War nations. Others just thought it was a nice thing to do. Obama became the first U.S. president since 2000 to shake hands with a Cuban leader.
  • Space station's coolant system crippled, but crew stays safe

    Space station's coolant system crippled, but crew stays safe

    Click HereA problem with one of the International Space Station's cooling systems may require a repair spacewalk, NASA told NBC News on Wednesday. The situation doesn't represent a life-threatening emergency, but it has required a cutback in normal operations on the orbiting outpost, NASA spokesman Josh Byerly said. "The crew was never in any danger," he said. "They're fine for the near future."
  • Journalists in Syria at great risk of being kidnapped

    Journalists in Syria at great risk of being kidnapped

    Click HereThe kidnappings are believed to be by jihadist groups as well as government militias and gangs. The kidnappings are sometimes for ransom, but are often intend to intimidate journalists and disrupt independent journalism.
  • Ukraine Police Retreat, Protesters Dig In

    Ukraine Police Retreat, Protesters Dig In

    Click HereAntigovernment protesters used metal fencing, bags stuffed with snow and even a trip wire to reinforce their makeshift camps after an aborted attempt by authorities to evict them from Kiev's main square, as President Viktor Yanukovych gave little sign of capitulating.
  • Theft of U.S. non-lethal aid to Syrian rebels suspends shipments

    Theft of U.S. non-lethal aid to Syrian rebels suspends shipments

    Click HereU.S. officials say they have stopped deliveries of non-lethal aid to rebels in Syria after Islamist militants there reportedly seized U.S.-provided equipment.
    Washington had agreed to supply forces opposed to Syrian President Bashar Assad with the provision the aid go only to moderate elements within the rebel forces, the Los Angeles Times reported Wednesday.
  • Chemical weapons used in Syria, UN report confirms

    Chemical weapons used in Syria, UN report confirms

    Chemical weapons were probably used in four locations in Syria this year, in addition to the confirmed attack near Damascus in August that forced the government to abandon its secret chemical stockpile, U.N. inspectors said in a report released Thursday. The experts, led by Swedish professor Ake Sellstrom, examined seven alleged chemical weapons attacks and said it lacked information to corroborate the allegations at two locations.
  • Texas teen Ethan Couch gets 10 years' probation for driving drunk, killing 4

    Texas teen Ethan Couch gets 10 years' probation for driving drunk, killing 4

    Click HereTo the families of the victims, Ethan Couch was a killer on the road, a drunken teenage driver who caused a crash that left four people dead.
    To the defense, the youth is himself a victim -- of "affluenza," according to one psychologist -- the product of wealthy, privileged parents who never set limits for the boy.
  • Better-looking teens more likely to graduate college

    Better-looking teens more likely to graduate college

    What does it matter if you were cute in high school? More than you might think.
    A new study undertaken by researchers from the University of Illinois at Chicago and the University of Texas at Austin finds that teens rated as good-looking in high school got higher grades and were ultimately more likely to graduate college and get bigger paychecks as adults.
  • Warty Comb Jelly is Earth’s Earliest Extant Animals

    Warty Comb Jelly is Earth’s Earliest Extant Animals

    Click HereThe journal Science-published study has unveiled that warty comb jellies are Earth's earliest extant animals. The study has been carried out by a group of researchers from The National Human Genome Research Institute. Earlier, it was considered that humans' relative distant are sponges, the sessile and collagen wads. However, it is now through this research that it has been unveiled that warty comb jellies are the oldest ancestors.
  • Robert Levinson, American Missing In Iran, Was Working For CIA

    Robert Levinson, American Missing In Iran, Was Working For CIA

    Click Here In March 2007, retired FBI agent Robert Levinson flew to Kish Island, an Iranian resort awash with tourists, smugglers and organized crime figures. Days later, after an arranged meeting with an admitted killer, he checked out of his hotel, slipped into a taxi and vanished. For years, the U.S. has publicly described him as a private citizen who traveled to the tiny Persian Gulf island on private business.
    An Associated Press investigation reveals that Levinson was working for the CIA.
  • Newtown anniversary: Daily drumbeat of child homicides gets little notice

    Newtown anniversary: Daily drumbeat of child homicides gets little notice

    Click HereTo mourn the 20 children and six educators killed a year ago at Sandy Hook elementary, residents of the Connecticut suburb of Newtown will take a quiet action on Saturday: placing candles in windows to remember the lives lost.
  • Sandy Hook shooting, one year later: A solemn day for Newtown

    Sandy Hook shooting, one year later: A solemn day for Newtown

    Click HereBells tolled 26 times to honor the children and educators killed one year ago in a shooting rampage at Sandy Hook Elementary School as local churches held memorial services Saturday and President Barack Obama observed a moment of silence.
    With snow falling and homes decorated with Christmas lights, Newtown looked every bit the classic New England town, with a coffee shop and general store doing steady business. But reminders of the grief were everywhere.
  • Footage released of China Jade Rabbit moon landing

    Footage released of China Jade Rabbit moon landing

    Click HereChinese state television had so far only shown a computer-generated image of its path as it approached the surface of the moon late on Saturday.
    The 300-pound rover on board the probe separated from the much larger landing vehicle early on Sunday, around seven hours after the Chang'e 3 had touched down on a fairly flat, Earth-facing part of the moon.
  • 17-year-old Colo. school shooting victim remains in coma

    17-year-old Colo. school shooting victim remains in coma

    Click HereA 17-year-old student at Arapahoe High School in Centennial, Colo. remained in a coma Sunday evening, more than 48 hours after she was shot at point-blank range by a fellow student, 18-year-old Karl Pierson. The parents of Claire Davis issued a statement Sunday saying that she was in stable but critical condition.
  • Google buys military robot-maker Boston Dynamics

    Google buys military robot-maker Boston Dynamics

    Click HereBoston Dynamics, which contracts for the US military, is the eighth robotics company snapped up by Google this year. Both the price and size of the project, which is led by former Android boss Andy Rubin, are being kept under wraps. However, analysts say the purchases signal a rising interest in robotics use by consumer internet companies.
  • A radical Pope’s first year

    A radical Pope’s first year

    Click HereOn most Wednesdays, the Pope gives a general audience, and this one was packed. It was a balmy October morning, and more than a hundred thousand pilgrims, tourists, and Romans had funnelled into St. Peter’s Square. It was the first of three large gatherings Pope Francis presided over that week for a celebration of the family during the Catholic Church’s “Year of Faith.”
  • Judge's Word on NSA Program Won't Be the Last

    Judge's Word on NSA Program Won't Be the Last

    Click HereA federal judge made headlines Monday by declaring that the National Security Agency's bulk collection of millions of Americans' telephone records is likely unconstitutional. But even he realized his won't be the last word on the issue.
  • Discovery of 1.4 million-year-old fossil closes human evolution gap

    Discovery of 1.4 million-year-old fossil closes human evolution gap

    Click HereHumans have a distinctive hand anatomy that allows them to make and use tools. Apes and other nonhuman primates do not have these distinctive anatomical features in their hands, and the point in time at which these features first appeared in human evolution is unknown.
  • Before Obama, tech execs meet, judge rules NSA surveillance probably is illegal

    Before Obama, tech execs meet, judge rules NSA surveillance probably is illegal

    Click HereThe National Security Agency’s program of collecting telephone-call data is probably illegal, a federal judge ruled, allowing a lawsuit claiming it violates the U.S. Constitution to go forward. The ruling Monday came a day ahead of President Barack Obama's meeting with a group of executives including Apple’s Tim Cook and Yahoo’s Marissa Mayer whose companies are pushing the U.S. to curb broad government spying on communications.
  • Greenpeace activists Arctic 30, including Tasmanian Colin Russell, set to avoid trial after amnesty bill passes

    Greenpeace activists Arctic 30, including Tasmanian Colin Russell, set to avoid trial after amnesty bill passes

    Click HereThe Greenpeace activists known as the Arctic 30, including Tasmanian Colin Russell, are set to avoid trial after the Russian parliament approved an amnesty bill to commemorate the ratification of its current constitution. The group, which includes 28 activists and two journalists from 17 countries, were facing charges over their protest in September against plans by energy giant Gazprom to drill for oil in the Arctic.
  • Obama includes openly gay athletes in 2014 Olympic delegation

    Obama includes openly gay athletes in 2014 Olympic delegation

    Click HereFormer Homeland Security Secretary Janet Napolitano will lead the U.S. delegation to the opening ceremonies of the Winter Olympics next year in Sochi, Russia.
    The White House says tennis champion Billie Jean King and U.S. Ambassador to Russia Michael McFaul will join the opening ceremony delegation. So will figure skater Brian Boitano and presidential adviser Rob Nabors.
  • Media divided on Russia-Ukraine deal

    Media divided on Russia-Ukraine deal

    Click HereIn Ukraine, there is hand-wringing among some commentators about what price Kiev will have to pay for Mr Putin's offer to buy $15bn worth of Ukrainian government bonds and take a third off the price Russia charges Ukraine for gas. The Russian media adopt an almost triumphant tone, but doubt is expressed over how Russia will finance its loans to Ukraine.
  • NASA orders urgent spacewalks to fix space station

    NASA orders urgent spacewalks to fix space station

    Click HereNASA has ordered up a series of urgent spacewalks to fix a broken cooling line at the International Space Station. Station managers decided Tuesday to send two American astronauts out as soon as possible to replace a pump with a bad valve. It's a major job that will require three spacewalks — Saturday, Monday and next Wednesday on Christmas Day.
  • How do you know if you've made it in life?

    How do you know if you've made it in life?

    Click HereIn the first few decades after China's communist revolution, most families aspired to own the "three circles and a speaker" - a radio, a bicycle, a wrist watch and a sewing machine. Decades later, the list of Chinese must-haves is a lot more expensive. Chinese people are under pressure to buy their own apartment, a car, a smartphone, a DSLR camera and a laptop, for starters. Others strive for designer clothes and furniture too.
  • Obama Is Urged to Sharply Curb N.S.A. Data Mining

    Obama Is Urged to Sharply Curb N.S.A. Data Mining

    Click HereA panel of outside advisers urged President Obama on Wednesday to impose major oversight and some restrictions on the National Security Agency, arguing that in the past dozen years its powers had been enhanced at the expense of personal privacy.
  • Superpedestrian debuts wheel that turns bikes into electric-hybrids

    Superpedestrian debuts wheel that turns bikes into electric-hybrids

    Click HereAssaf Biderman, founder of Cambridge-based startup Superpedestrian, discovered that in order to increase bicycle ridership, he had to literally reinvent the wheel.
  • Europe launches satellite that will map 1 billion stars, hunt for new planets

    Europe launches satellite that will map 1 billion stars, hunt for new planets

    Click HereThe European Space Agency successfully launched its star-surveying satellite Gaia into space Thursday in a bid to produce the most accurate three-dimensional map of the Milky Way, and provide an insight into the evolution of our galaxy.
    The satellite was lifted into space from French Guiana at 6:12 a.m. (0912 GMT; 4:12 a.m. ET) aboard a Russian-made Soyuz rocket, the agency said. It is heading to a stable orbit on the opposite side of the Earth from the sun, known as Lagrange 2
  • All 52 passengers rescued from ship trapped in Antarctic ice

    All 52 passengers rescued from ship trapped in Antarctic ice

    Click HereAfter 10 days stranded far from home, all 52 passengers from a ship stuck in Antarctic ice have now been transferred by helicopter to an Australian icebreaker.
    "It's 100% we're off! A huge thanks to all," tweeted Chris Turney, an Australian professor among the group of scientists, journalists and tourists marooned on the ship.
  • World's first legal recreational marijuana sales begin in Colorado

    World's first legal recreational marijuana sales begin in Colorado

    Click HereColorado's ambitious experiment in cannabis policy hit a historic milestone Wednesday, when licensed stores began making the first legal sales of recreational marijuana anywhere in the world. A few people queued up outside pot shops early Wednesday to celebrate and claim bragging rights, but longer lines began forming in Denver as snow fell later in the morning. Police reported no problems.
  • DARPA Robotics Challenge opens in Florida

    DARPA Robotics Challenge opens in Florida

    Click HereFor the 17 humanoid robots competing in the DARPA Robotics Challenge, which began its second of three rounds this morning, it is basic tasks like this – tasks that are, of course, not so basic at all when a robot is being asked to do them – that will demonstrate these robot’s abilities to be the first responders in disaster zones too dangerous for humans.
  • Hubble Telescope Reveals Super-Planets Covered in Alien Clouds

    Hubble Telescope Reveals Super-Planets Covered in Alien Clouds

    Scientists have found evidence of extraterrestrial clouds blanketing two of the most common types of planets in our Milky Way galaxy, NASA officials say. Two teams of researchers used the Hubble Space Telescope to characterize the atmospheres of the two exoplanets. One of the alien planets is a so-called "super-Earth" larger than the Earth, while the other has been dubbed a "warm Neptune."
  • Snapchat hack leaks 4.6m users’ details

    Snapchat hack leaks 4.6m users’ details

    Click HerePhoto-sharing site Snapchat has been hit by a cyber attack that reportedly exposed the usernames and phone numbers of 4.6 million users.
    The data was posted on a website called SnapchatDB.info, which has since been suspended. The hackers censored the last two digits of the phone numbers "in order to minimise spam and abuse", but offered to disclose the uncensored database "under certain circumstances".

Plan projects on a visual timeline

Map milestones, phases, deadlines, and key events in one place so the sequence is easier to see and share. Timetoast is a timeline maker for work, school, research, and stories.