Hurricane andrew 7

Hurricanes that have impacted Miami since Andrew

  • Period: to

    Timeline of Miami Hurricane Encounters Since Andrew

  • Hurricane Andrew

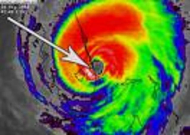
    Hurricane Andrew

    Hurricane Andrew devastates South Florida
    The most destructive United States hurricane of record, Andrew blasted its way across South Florida on Aug. 24, continued westward into the Gulf of Mexico and struck the Louisiana coast on Aug. 26. Andrew is responsible for 23 deaths in the United States and three in the Bahamas. The hurricane caused $26.5 billion in damage.
  • Hurricane Georges

    Hurricane Georges

    September 25, 1998- Hurricane Georges passes over Key West as a Category 2 hurricane, and days later it moves eastward through the Florida Panhandle after hitting Biloxi, Mississippi. In the Florida Keys, the hurricane produced 8.41 inches (214 mm) of rain in Tavernier and wind gusts peaking at 110 mph (177 km/h) in Marathon.
  • Hurricane Irene

    Hurricane Irene

    Coming out of the southwest, Hurricane Irene strikes Palm Beach County with 75 mph winds and moving NNE at 10 mph; floods many areas of county.
  • Hurricane Charley

    Hurricane Charley

    Hurricane Charley makes landfall on Cayo Costa with winds of 150 mph (240 km/h) and hours later hits the mainland portion of the state at Punta Gorda, becoming the strongest hurricane to hit the United States since Hurricane Andrew in 1992. The winds damage or destroy thousands of homes, knock down tens of thousands of trees, and leave more than 2 million Floridians without power.
  • Hurricane Frances

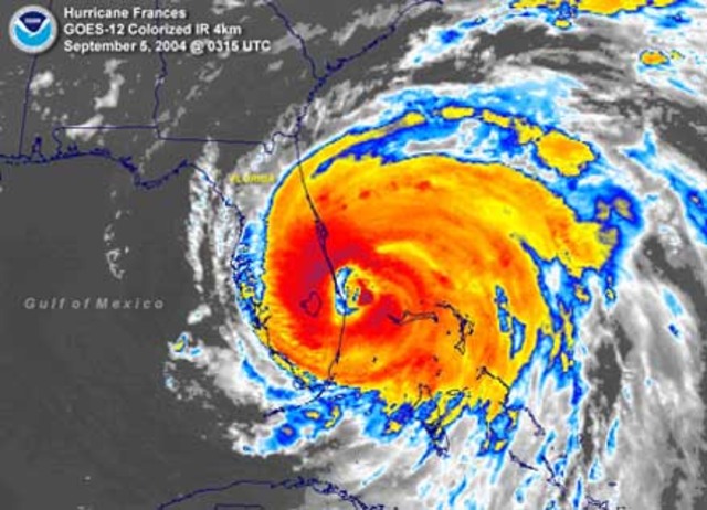
    Hurricane Frances

    – Hurricane Frances strikes the southern end of Hutchinson Island as a slow-moving Category 2 hurricane, producing heavy rainfall peaking at 15.84 inches (402 mm) at High Springs. The hurricane damages 15,000 homes and 2,400 businesses in Palm Beach County alone, with damage across the state totaling $8.32 billion
  • Hurricane Jeanne

    Hurricane Jeanne

    Hurricane Jeanne, second storm in less than a month, brings 120 mph winds causing more damage and 2 deaths to Palm Beach County.

  • Hurricane Katrina

    Hurricane Katrina

    Hurricane Katrina makes landfall near the Broward/Miami-Dade County border, producing gusty winds and heavy rainfall peaking at 16.33 inches (415 mm) in Perrine. Damage amounts to $523 million
  • Hurricane RIta

    Hurricane RIta

    Hurricane Rita passes south of the Florida Keys, producing a 5 foot (1.5 m) storm surge which affects up to 200 residencies
  • Hurricane Wilma

    Hurricane Wilma

    Hurricane Wilma makes landfall near Cape Romano as a major hurricane, producing hurricane force winds and moderate precipitation across much of southern portion of the state. The winds of the hurricane leave 98% of South Florida without power. The passage of Wilma results in hundreds of damaged or destroyed homes, with damage reaching $20.6 billion
  • Hurricane Gustav

    Hurricane Gustav

    Hurricane Gustav brushed the Florida Keys before tracking into central Louisiana, producing six tornadoes, heavy rain up to 4.12 in (105 mm), and strong rip currents throughout the state.

Looking for a timeline maker?

Create timelines for projects, roadmaps, history, lessons, legal cases, and stories with Timetoast. Timetoast is a timeline maker for work, school, research, and stories.