Current Events

  • Jonathan Martin

    Jonathan Martin

    full storyJonathan Martin played football for the Miami Dolphins, but he has been recieving a lot of criticism from his teamates. He left the team last week and he doesn't know if he is coming back to play.
  • Syrian Army Capturing a Suburb South of Damascus

    Syrian Army Capturing a Suburb South of Damascus

    full storyOn Wednesday, Syrian troops captured a contestedsuburb of Damascus.
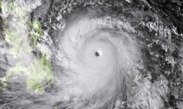
  • U.S Navy helps typoon victims in the Phillipines

    U.S Navy helps typoon victims in the Phillipines

    [full story](myfox8.com/2013/11/14/u-s-navy-aid-ships-arrive-in-the-philippines-to-help-typhoon-victims)The U.S Navy is arriving in the Philipines to provide aid for all of the victims suffering from the damage caused by Tyhoon, which is one of the largest cyclones on record. The navy is contiuously sending aircrafts and ships to bring more food and other necessary items they need to recover. Some of the people in the Philipines have not had water or food in almost a week.
  • Obama Care

    Obama Care

    what is ObamaCareThe goal of Obamacare is to provide more Americans with affordable health insurance and reduce the amount of money spent on health Care in the U.S. Throughout America, there has been many debates to find if it making a big difference or not.
  • Philippines disaster response

    Philippines disaster response

    damage done by the cycleThe Philipines are trying to raise money to fix the disaster caused by the cyclone and to help all of the effected adults and children recieve the care that they need. Many homes were destroyed, peolple were injured, lots of people died, and they are still searching for people that went missing.
  • Tornadoes in the U.S. Midwest

    Tornadoes in the U.S. Midwest

    full storyOn Sunday,Washington, Illinois got hit with a large tornado. Some of the winds measured to be going about 200m/h. The tornado left eight people dead in Illinois and Michigan.
  • Abdul Qadir al-Saleh

    Abdul Qadir al-Saleh

    full storyAbdul Qadir al-Saleh was the leader of a Syrian Rebel group, known as the Liwa al-Tawhind. He died Sunday due to his wounds caused by the air strike last week.
  • NASA’s Mars bound MAVEN spacecraft

    NASA’s Mars bound MAVEN spacecraft

    full storyIt is planned to launch the MAVEN Spacecraft today at 1:28 PM. The rain, winds, and clouds are starting to become a threat to the flight.
  • Newly declassified files about the government's controversial program of collecting phone and internet information on every American

    Newly declassified files about the government's controversial program of collecting phone and internet information on every American

    full story hereThe true extent of the security threat posed by NSA Edward Snowden is 'unknown', according to a top government aid, as it is revealed the White House is unsure what secret files he possesses.
  • The likelihood of a peace conference on the trouble in Syria in "mid December"

    The likelihood of a peace conference on the trouble in Syria in "mid December"

    full story hereUnited Nations Secretary-General Ban Ki-moon said Nov. 18 he expected a long-delayed peace conference on Syria’s bloody conflict will be held in “mid-December” with a specific date to be set next week.
  • The need for long-term planning and emergency relief in the Philippines

    The need for long-term planning and emergency relief in the Philippines

    full story hereThe head of U.N. disaster relief visited the heart of the Philippine disaster zone on Tuesday and stressed the need for long-term planning as well as emergency relief to ensure farmers and fishermen can resume their livelihoods.
  • Talks in Geneva about Iran's Nuclear Program

    Talks in Geneva about Iran's Nuclear Program

    full story hereGeneva is hosting another attempt to clinch a landmark deal between world powers and Iran, aimed at freezing parts of its atomic program. Diplomats are cautious amid hopes of a breakthrough.
  • Cargo Jet is Stuck

    Cargo Jet is Stuck

    [http://www.cnn.com/2013/11/21/travel/kansas-cargo-plane-wrong-airport/index.html?hpt=us_c2](full story here)A Boeing Dreamlifter landed at the wrong airport in Wichita, Kansas -- one with a runway apparently too short for the mammoth cargo plane to take off from again.The plane, which was bound for McConnell Air Force Base from New York's John F. Kennedy International Airport, missed its mark by about 12 miles.
  • Joseph Paul Franklin

    Joseph Paul Franklin

    White supremacist serial killer FULL STORY HERE was executed Wednesday morning after the U.S. Supreme Court rejected his final requests for a stay, the Missouri Department of Public Safety said.
  • Typhoon Aid in Central Philippines

    Typhoon Aid in Central Philippines

    full story hereThe Philippines government and the United Nations are launching a $65m global appeal to help the victims of Typhoon Bopha that devastated the country's south and left hundreds dead.
  • Car bomb kills 10 Egyptian soldiers in Sinai

    Car bomb kills 10 Egyptian soldiers in Sinai

    full story hereWitnesses say Egyptian Army helicopters carried out intense overflights in the northern Sinai, scouring the region where a car bomb went off early Wednesday, killing 11 soldiers. It was the worst attack since militants ambushed a police bus in August, killing 25 policemen.
  • South Africa mall rescue

    South Africa mall rescue

    full story hereEmergency rescue efforts have been called off in Durban this morning after a shopping mall under construction collapsed on workers on Tuesday evening.Rescue workers said they had left the site to allow the council to bring in heavy lifting equipment to shift some of the rubble.
  • NASA rocket lights night sky over Maryland

    NASA rocket lights night sky over Maryland

    full story hereA rocket streaked through the sky Tuesday night in Maryland and for hundreds of miles across the eastern U.S. as NASA launched a mission from the Delmarva peninsula.
  • Manhunt for Paris shooter enters third day

    Manhunt for Paris shooter enters third day

    full story hereFrench police continued the search Wednesday for a gunman who went on a shooting spree on Monday, seriously injuring a photographer at a Paris newspaper office and later opening fire outside a bank headquarters.
  • Iranian Nuclear Deal

    full storyAfter coming tantalizing close to a landmark agreement earlier this month, the Obama administration and its partners will sit down with Iran again this week and hope to cut a deal to roll back the Islamic Republic's nuclear program.
  • Greenpeace Arctic 30

    Greenpeace Arctic 30

    full story hereThe crew of the Greenpeace ship Arctic Sunrise took part in a peaceful protest at Gazprom's oil rig to call attention to the threat of oil drilling and climate change. The ice is retreating and oil companies are moving north to drill for the same stuff that's driving that melting in the first place.
  • Beirut Bombs Strike at Iran as Assad's Ally

    Beirut Bombs Strike at Iran as Assad's Ally

    full story hereA double bombing struck the Iranian Embassy compound in Beirut on Tuesday, in the deadliest assault on Iran’s interests since it emerged as the most forceful backer of the Syrian government against an armed insurgency. The frontal attack struck a symbol of the country’s powerful influence in Lebanon and neighboring Syria.
  • US drone strike against a senior militant in Pakistani seminary

    US drone strike against a senior militant in Pakistani seminary

    full story here A suspected U.S. drone strike on an Islamic seminary in Pakistan killed a senior member of the Taliban-linked Haqqani network early on Thursday, Pakistani and Afghan sources said.
  • Ukrainian protesters

    Ukrainian protesters

    Thousands of pro-Europe demonstrators are marching through the full story here capital in protest at President Viktor Yanukovych's refusal to sign an EU trade deal.
  • $1 coins: Unwanted

    $1 coins: Unwanted

    full story hereU.S. Mint stopped making $1 presidential coins in 2011 due to a lack of public demand.Far more than half of all $1 coins ever minted are stored in government vaults.
  • Heroes team up for typhoon relief

    Heroes team up for typhoon relief

    full story herePeople are raising money and donating relief supplies of their own.Doc Hendley flew in from North Carolina with hundreds of water filters.
  • Thailand protests

    Thailand protests

    full story hereThai protesters entered the government's headquarters after police removed barricades from outside both Government House and the police office.The mood in the capital Bangkok appeared considerably calmer after the move, which followed clashes over the weekend and on Monday.But as tensions fell, protest leader Suthep Thaugsuban vowed to fight on and remove the government.
  • PISA test results (Program of International Student Assessment)

    PISA test results (Program of International Student Assessment)

    full story hereAmong 34 developed countries, the United States ranked 26th in math, 21st in science and 17th in reading -- none of them significantly different from previous PISA tests. The top performer in math was Shanghai, scoring the equivalent of three grade levels above the average. It was followed by Singapore, Hong Kong, Taipei, South Korea, Macau and Japan, then Liechtenstein, Switzerland and the Netherlands.
  • China air defense zone

    China air defense zone

    full story hereThe US called on China to scrap its newly declared air defence identification zone on Monday, warning that Beijing risked a potentially dangerous confrontation with Japan and its allies at the start of a trip to the region by vice-president Joe Biden.
  • Man killed in shark attack while fishing in Hawaii

    Man killed in shark attack while fishing in Hawaii

    full story here A man fishing from a kayak off a Hawaiian island has died after being bitten by a shark, authorities said Monday. The incident was the latest in an alarming spate of shark attacks in the state this year.
  • Train Crash

    Train Crash

    full story hereThe train derailment Sunday killed four people and injured 67 others in New York. Anthony Bottalico, the union representative, told CNN that engineer William Rockefeller Jr. recognizes his responsibility in the incident. Rockefeller's lawyer characterized what happened as "highway hypnosis." He said his client had had a full night's sleep before the crash, and had no disciplin record.
  • China Air Zone

    China Air Zone

    full story hereBiden meets China's president to discuss tensions over China's new air defense zone.
  • Google Robots

    Google Robots

    full story hereIn an out-of-the-way Google office, two life-size humanoid robots hang suspended in a corner.Google might be planning to one day have one of the robots hop off an automated Google Car and race to your doorstep to deliver a package.
  • NSA 'tracking' hundreds of millions of mobile phones

    NSA 'tracking' hundreds of millions of mobile phones

    full story hereAlmost five billion mobile phone location records are logged by the NSA every day.The data is said to help the NSA track individuals, and map who they know, to aid the agency's anti-terror work.The "dragnet surveillance" was condemned by digital rights groups who called for the NSA's snooping efforts to be reined in.The news comes as Microsoft plans to use more encryption to thwart NSA spying on it and its customers.
  • militants attack Yemen's Defense Ministry

    militants attack Yemen's Defense Ministry

    full story hereMilitants staged a deadly attack on Yemen's Defense Ministry on Thursday, ramming the building with an explosives-laden vehicle, followed by gunmen who battled security forces inside.
  • Fast Food Strikes

    Fast Food Strikes

    full story hereWhen 200 fast-food workers went on strike in New York City last November to protest their low wages, the New York Times said it was the “biggest wave of job actions in the history of America’s fast-food industry.”And then in September this year, in a span of about two weeks, employees at both fast-food and retail chains went on strike in 50 U.S. cities, to fight for $15/hour wages.Today, Thursday, Dec. 5, 2013,workers in 130 U.S. cities will walk off the job to demand that they be payed.
  • Facebook, Gmail and Twitter passwords stolen in massive hack

    Facebook, Gmail and Twitter passwords stolen in massive hack

    full story here Hackers have stolen usernames and passwords for nearly two million accounts at Facebook, Google, Twitter, Yahoo and others, according to a report released this week.The massive data breach was a result of keylogging software maliciously installed on an untold number of computers around the world, researchers at cybersecurity.
  • Arizona forestry

    Arizona forestry

    full story here The Arizona Division of Forestry has been fined $559,000 for workplace violations during the Yarnell Hill fire that left 19 elite firefighters dead, state health and safety officials said Wednesday.
  • Nelson Mandela Story

    Nelson Mandela Story

    full story hereNelson Mandela, the revered South African anti-apartheid icon who spent 27 years in prison, led his country to democracy and became its first black president, died Thursday at home. He was 95.
  • Nelson Mandela Story

    Nelson Mandela Story

    audio clip hereObama Explains Mandela as one of the most influencing and couragous men. One person can make a large difference.
  • Plan to destroy Syria's chemical weapons

    Plan to destroy Syria's chemical weapons

    full story hereLater this December, department officials plan to test a portable hydrolysis system that uses "heat, water and bleach-like chemicals" to transform the weapons into a lower grade of hazardous waste that is more manageable, according to a news release on the department's website. The tests will be conducted on Cape Ray, a U.S. Merchant Marine ship, marking the first time such a test would be performed at sea.
  • ice storm from the Southwest to the Northeast

    ice storm from the Southwest to the Northeast

    full story hereTexas to Tennessee are in the bull's-eye of a treacherous ice storm, threatening to coat everything in its path with up to an inch of frozen water.The governors of Tennessee and Arkansas declared states of emergency ahead of the worst of the storm.
  • Ukraine riots

    Ukraine riots

    full story hereAfter the police violently dispersed several hundred protesters in the center of this roiled capital early Saturday, thousands more took to the streets to denounce President Viktor F. Yanukovich’s refusal to sign far-reaching political and free-trade accords with the European Union.
  • Thousands of flights canceled on Eastcoast

    Thousands of flights canceled on Eastcoast

    full story hereMore than 1,100 U.S. flights have been canceled for Monday. At least seven people have died in storm-related incidents in Texas, Arkansas and New Mexico since Thursday, officials said. Most were involved in traffic crashes.
  • Major tech companies call for tighter controls on government surveillance

    Major tech companies call for tighter controls on government surveillance

    full story hereEight major U.S. web companies, including Apple, Google and Facebook, made a joint call on Monday for tighter controls on how governments collect personal data, intensifying the furor over online surveillance.In an open letter to U.S. President Barack Obama and Congress, the companies said recent revelations showed the balance had tipped too far in favor of the state in many countries and away from the individual.
  • Supreme Court in India declares homosexuality is illegal

    Supreme Court in India declares homosexuality is illegal

    full story hereSex between consenting homosexual partners is once again illegal in India after the country's Supreme Court overturned a lower court ruling Wednesday.
  • Obama-Castro Handshake

    Obama-Castro Handshake

    full story herePresident Barack Obama shook hands Tuesday with Cuban President Raúl Castro at the memorial service for Nelson Mandela, a gesture that follows decades of estranged U.S.-Cuba relations.The handshake with Mr. Castro, brother of longtime Cuban leader Fidel Castro, quickly drew attention in the U.S. as it highlights an increasing thaw with Cuba during Mr. Obama's five years in office. The freeze between Cuba and the U.S. has existed since the Cold War.
  • Ukraine

    Ukraine

    full story herePolice in Ukraine on Wednesday pulled back as protesters claimed victory after an overnight face-off in which authorities removed some barricades and tents and scuffled with demonstrators occupying Kiev's main square.
  • 16 people killed in fire

    16 people killed in fire

    full story hereSixteen people have been killed and five others injured in a fire early Wednesday at a market in the southern Chinese city of Shenzhen, the local government said.About 145 firefighters worked to extinguish the blaze, which charred an area of more than 1,000 square meters (10,800 square feet), the local government said in a post on Weibo, a Twitter-like service in China.
  • Ukrainian Protest and the Police

    Ukrainian Protest and the Police

    full story here Undeterred by an overnight crackdown by authorities, protesters in the center of the Ukrainian capital, Kiev, rebuilt barricades Wednesday that had been torn down hour earlier by riot police.As the day continued, police pulled back from the city's Independence Square, or Maidan, and the country's leaders sought to play down fears of a further clampdown.
  • U.S. stops 'non-lethal' assistance to Syria

    U.S. stops 'non-lethal' assistance to Syria

    full story hereJust a month before a peace conference that will seek an end to the grinding civil war in Syria, the Obama administration’s decision to suspend the delivery of nonlethal aid to the moderate opposition demonstrated again the frustrations of trying to cultivate a viable alternative to President Bashar al-Assad.
  • Syrian rebel groups urged to stop kidnapping journalists

    Syrian rebel groups urged to stop kidnapping journalists

    full story hereMajor international news organisations have sent a letter to the leadership of the armed opposition in Syria, calling for urgent action against rebel groups increasingly targeting journalists for kidnappings.Breaking a self-imposed silence, families of two Spanish reporters abducted in Syria three months ago by an Al Qaeda-affiliated group appealed Tuesday for their immediate release.
  • Damien Hirst's stolen artwork

    Damien Hirst's stolen artwork

    Two works by British artist full story here worth $54,000 have been stolen from a London gallery.The pieces -- prints of colored spots, signed by Hirst -- were taken from the Exhibitionist Gallery in Notting Hill in the early hours of Monday morning.Detective Sergeant Jon Lightfoot, of London's Metropolitan Police, said the thief appeared to have "specifically targeted" the stolen works. Other pieces hanging in the gallery were left untouched.
  • Robert Levinson

    Robert Levinson

    full story here In March 2007, retired FBI agent Robert Levinson flew to Kish Island, an Iranian resort awash with tourists, smugglers and organized crime figures, but that was only his cover story. An Associated Press investigation reveals that Levinson was working for the CIA.
  • UN inspectors confirm chemical weapons use in Syria

    UN inspectors confirm chemical weapons use in Syria

    full story here Chemical weapons were probably used in four locations in Syria this year, in addition to the confirmed attack near Damascus in August that forced the government to abandon its secret chemical stockpile, U.N. inspectors said in a report released Thursday.
  • Newtown Anniversary

    Newtown Anniversary

    full story hereTo mourn the 20 children and six educators killed a year ago at Sandy Hook elementary, residents of the Connecticut suburb of Newtown will take a quiet action on Saturday: placing candles in windows to remember the lives lost.
  • Ethan Couch

    Ethan Couch

    full story hereAn alleged alcohol-fueled joyride ultimately led to four people being killed. The 16-year-old behind the wheel, Ethan Couch, won't be serving a single day in jail.This week, Couch's defense argued he suffers from affluenza, that his parents are responsible for the horrific accident because they raised him in a family so wealthy, so privileged that the teen didn't realize his actions would have consequences.
  • Study finds better-looking teens more likely to graduate college.

    Study finds better-looking teens more likely to graduate college.

    full story hereA new study undertaken by researchers from the University of Illinois at Chicago and the University of Texas at Austin finds that teens rated as good-looking in high school got higher grades and were ultimately more likely to graduate college and get bigger paychecks as adults.
  • U.S. drone struck a wedding

    U.S. drone struck a wedding

    full story here A U.S. drone mistakenly targeted a wedding convoy in Yemen's al-Baitha province after intelligence reports identified the vehicles as carrying al Qaeda militants, two Yemeni national security officials told CNN on Thursday.
    The officials said that 14 people were killed and 22 others injured, nine in critical condition. The vehicles were traveling near the town of Radda when they were attacked.
  • school shooting victim remains in coma

    school shooting victim remains in coma

    full story hereA 17-year-old student at Arapahoe High School in Centennial, Colo. remained in a coma Sunday evening, more than 48 hours after she was shot at point-blank range by a fellow student, 18-year-old Karl Pierson. The parents of Claire Davis issued a statement Sunday saying that she was in stable but critical condition.
  • Sandyhook Elementary: 1 year later

    Sandyhook Elementary: 1 year later

    full story here Saturday marks one year since a shooter killed 26 people – 20 children and six adults – at Sandy Hook Elementary in Connecticut.The tragedy tore open wounds far beyond Connecticut. It spurred Kaaren Haldeman of Durham to join the national nonprofit, Moms Demand Action, to push for tougher gun laws.
  • Jade Rabbit

    Jade Rabbit

    full story here China's first lunar rover is expected to land on the moon on Saturday, less than two weeks after it blasted off from Earth, according to Chinese media reports.The landing will make China one of only three nations -- after the United States and the former Soviet Union -- to "soft-land" on the moon's surface, and the first to do so in more than three decades.
  • groom dies in road accident hours after wedding

    groom dies in road accident hours after wedding

    full story hereHours after the wedding, groom William Riley Knight, 49, of Crown Point, Indiana, was run over and killed.His new wife was not injured.They had just left their reception, according to Patti Van Til, a spokeswoman with the Lake County, Indiana, Sheriff's Department.
  • Obama meets with tech executives pushing to limit government spying on communications

    Obama meets with tech executives pushing to limit government spying on communications

    full story herePresident Barack Obama is meeting Tuesday with executives from leading technology companies, including Google, Twitter, and Apple.The White House said the meeting will focus on efforts to repair the Obama administration's HealthCare.gov website and reform government information technology.The National Security Agency's surveillance programs are also on the agenda.
  • Pope Francis

    Pope Francis

    Time named full story here its person of the year Wednesday after nine months of a papacy that has brought accolades from reformers, raised fears among conservatives, and drawn widespread adulation from people around the world for his man-of-the-people ways.He is known for his simplicity and has a reputation of being a voice for the poor. Francis has "changed perceptions of the church," Time's international editor says.
  • Judge declares NSA phone record collections are unconstitutional

    Judge declares NSA phone record collections are unconstitutional

    full story hereA federal judge made headlines Monday by declaring that the National Security Agency's bulk collection of millions of Americans' telephone records is likely unconstitutional. But even he realized his won't be the last word on the issue.
  • Fire at San Antonio Zoo

    Fire at San Antonio Zoo

    full story here
    Scatha, a 15-year-old Komodo dragon, and five other reptiles died Monday after smoke from a fire filled an enclosure at the San Antonio Zoo, a spokeswoman for the zoo said.The cause of the fire was unknown, but a heating device may be to blame, the zoo said.
  • Russia-Ukraine deal

    Russia-Ukraine deal

    Russia threw Ukraine an economic lifeline on Tuesday, agreeing to buy $15 billion of Ukrainian bonds and to reduce the price its cash-strapped neighbour pays for vital Russian gas supplies by about one-third.The deal, reached at talks in Moscow between the Russian and Ukrainian leaders, is intended to help Ukraine stave off economic crisis though Moscow will hope it keeps Kiev in its political and economic orbit.
  • Obama includes openly gay athletes in 2014 Olympic delegation

    Obama includes openly gay athletes in 2014 Olympic delegation

    full story herePresident Barack Obama sent Russia a clear message about its treatment of gays and lesbians.Billie Jean King will be one of two openly gay athletes in the U.S. delegation for the opening and closing ceremonies, Obama announced Tuesday. For the first time since 2000, however, the U.S. will not send a president, former president, first lady or vice president to the Games.
  • Greenpeace Activists

    Greenpeace Activists

    latest updates on eventfull story hereThe Greenpeace activists known as the Arctic 30, including Tasmanian Colin Russell, are set to avoid trial after the Russian parliament approved an amnesty bill to commemorate the ratification of its current constitution.
  • Lottery winner gives $40 million jackpot to charity

    Lottery winner gives $40 million jackpot to charity

    full story hereTom Crist was enjoying a trip to California, having lunch at a golf course in Palm Springs, when the call that could change his life came.It was officials with the lottery in western Canada, and they were telling him he had won $40 million.But instead of making plans for a big spending spree, Crist immediately decided that every dollar -- every single buck -- was to go to charity to honor his late wife.
  • The European Space Agency successfully launched its star-surveying satellite Gaia into space Thursday in a bid to produce the most accurate three-dimensional map of the Milky Way, and provide an insight into the evolution of our galaxy.

    The European Space Agency successfully launched its star-surveying satellite Gaia into space Thursday in a bid to produce the most accurate three-dimensional map of the Milky Way, and provide an insight into the evolution of our galaxy.

    full story hereThe European Space Agency successfully launched its star-surveying satellite Gaia into space Thursday in a bid to produce the most accurate three-dimensional map of the Milky Way, and provide an insight into the evolution of our galaxy.
  • US company reinvents wheel to make bikes electric

    US company reinvents wheel to make bikes electric

    full story hereA new device has been launched that can transform almost any bicycle into an electric-hybrid vehicle.The Copenhagen Wheel is a self-contained unit that replaces the rear hub of a bicycle wheel.It stores energy, which can later be released if a cyclist needs help.
  • 'Great Train Robber'

    'Great Train Robber'

    full story"Great Train Robber" Ronnie Biggs -- one of the most notorious British criminals of the 20th century -- has died, his publisher told CNN on Wednesday. He was 84.Biggs, who despite his crimes became the subject of books, films and TV shows and even recorded a single with the Sex Pistols, had been released from prison in 2009 on health grounds.
  • How do you know if you've made it in life?

    How do you know if you've made it in life?

    full story hereDecades later, the list of Chinese must-haves is a lot more expensive. Chinese people are under pressure to buy their own apartment, a car, a smartphone, a DSLR camera and a laptop, for starters. Others strive for designer clothes and furniture too.
  • Passengers rescued from icebound Antarctica ship

    Passengers rescued from icebound Antarctica ship

    full story hereA helicopter rescued all 52 passengers from a research ship that has been trapped in Antarctic ice since Christmas Eve after weather conditions finally cleared enough for the operation Thursday.

Want to make a timeline like this?

Use Timetoast to turn dates, events, milestones, and phases into a clear visual timeline you can build and share. Timetoast is a timeline maker for work, school, research, and stories.