Us flag

La historia de los estados unidos

  • El presidente Clinton quitado de la oficina

    El presidente Clinton quitado de la oficina

    Clinton fue quitado de la oficina bajo acusación de perjurio y obstrucción de la justicia. Negó las relaciones sexuales con un interno como si estuviéramos ignorantes.
  • Ataques terroristas contra el centro mundial del comercio

    Ataques terroristas contra el centro mundial del comercio

    Los terroristas secuestraron aviones y se chocaron contra el centro mundial del comercio, el pentágono y Pensilvania que mortara más que 3.000 personas.
  • Ningún Niño Acto Dejado

    Ningún Niño Acto Dejado

    Esta acto se pretende elevar los logros de los estudiantes y cerrar las brechas entre logras. Ha habido mucho debate sobre esta acto. Algunas personas piensan es grande y otros no creen que todos los estudiantes de avanzar al mismo ritmo. No piensan que son apropriado pruebas estandarizadas, porque todos los niños están en diferentes niveles. Algunos estudiantes son más avanzados y otros pueden caer. Tratar a todos los estudiantes de la misma pone en desvantaja.
  • Transbordador espacial explota

    Transbordador espacial explota

    El transbordador espacial explotó cuando entró en la atmósfera de la Tierra que mató a los siete astronautas.
  • Guerra en irak

    Guerra en irak

    El presidente Bush invadó Irak por lo que pudiéramos encontrar a Osama Bin Laden
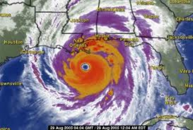
  • El huricán Katrina

    El huricán Katrina

    El huricán Katrina causó daños catastróficos en Louisiana y Mississippi. 80% de Louisiana se inundó. El presidente Bush no envió socorro de manera oportuna. Reaccianó a este disastre como si nunca occuriera.
  • La economía se estrelló

    La economía se estrelló

    Lehman Brothers se declaró en quiebra y Bush puso a Fannie Mae y Freddie Mac bajo el gobierno conservatorship. Necesitamos un presidente que ayudáramos a conseguir nuestros trabajos.
  • El presidente Barack Obama

    El presidente Barack Obama

    Barack Obama se convirtío en el primer presidente afroamericano con 52.8% de los votos. Todos esperando que él estuviera seguro en su presidencia.
  • Guantanamo Bay cerrado

    Guantanamo Bay cerrado

    El presidente Obama cerró Guantanamo Bay y otras prisiones secretas y campos de detención que fueron dirigidos por la CIA. Cerró un año después de su inaguración como hubiera querido.
  • Osama Bin Laden muerto

    Osama Bin Laden muerto

    Osama fue encontrado en Pakistán y asesinado por los Navy Seals.

A list shows items. A timeline shows sequence.

Use Timetoast to make dates, milestones, and turning points easier to understand in a clear visual format. Timetoast is a timeline maker for work, school, research, and stories.