Hurricane katrina 431x300

Hurricanes and Tropical storms

  • Tropical Storm San Cirilo

    Tropical Storm San Cirilo

    First storm to hit Puerto Rico in the 20th Century. The center of the storm moved over the southwest tip of Puerto Rico in a northwesterly direction with estimated sustained winds of 70 mph in the early morning of July 7th 1. The storm was mostly experienced in the southwest area of the island and produced rains of 5 to 6 inches in 72 hours in Barranquitas, Caguas and Humacao. The wind report of San Juan was of 52 mph and a pressure of 29.60 in/hg (1002 mb).
  • Tropical Storm  San Vicente

    Tropical Storm San Vicente

    The center of this tropical storm moved over the north coast of Puerto Rico in a westerly direction with estimated sustained winds of 60 mph during the night of September 11th and early morning of September 12th 1. The wind report from San Juan was of 52 mph and a pressure of 29.89 (1012 mb). The storm affected all the crops in Puerto Rico, specially the citrus.
  • Hurricane San Zacarias

    Hurricane San Zacarias

    The eye of this hurricane passed around 20 miles south of the south coast of Puerto Rico in a westerly direction with sustained winds estimated in 100 mph 1. Strong gusts were reported in the northeast side of the island and in San Juan winds reached 72 mph with a pressure of 29.66 in/hg (1004 mb). The rest of the island apparently did not report very much activity. Category 2.
  • Hurricane San Triburcio

    Hurricane San Triburcio

    The storm passed around 100 miles south of Puerto Rico in a westerly direction with winds estimated in 100 mph near the center. Two people were drowned in the sea in Cabo Rojo, the storm caused mountainous seas in the south coast. Also the agriculture was affected with crops damaged.Category 3.
  • Hurricane San Hipolito

    Hurricane San Hipolito

    Estimated to be a small sized hurricane that crossed Puerto Rico from east to west. The storm's intensity was estimated to be at 90 mph sustained at time of landfall and weakening as it crossed the island.Ctegory 2.
  • Hurricane San Felipe 2

    Hurricane San Felipe 2

    (Category 5). He crossed the island from southeast to northwest with winds of 160 mph. It has been ranked as the largest, violent and disastrous of all who have struck Puerto Rico. There was general destruction throughout the island Caused 312 deaths and damage estimated at $ 50 million.
  • Hurricane San ciprian

    Hurricane San ciprian

    (Category 3). He crossed the island from east to west with winds estimated near 120 miles. He remained on the island for seven hours and caused 225 deaths. Damage was estimated at $ 1, 500,000.
  • Hurricane Santa Clara

    Hurricane Santa Clara

    (Category 1) also known as Betsy. He entered and exited Patillas Arecibo. It is estimated that killed 16 people. Losses were estimated at $ 40 million.
  • Tropical Storm Gert

    Tropical Storm Gert

    The center of this fast moving tropical storm moved through Puerto Rico from the southeast to the north-central coast of the island in a period of less than three hours. The storm's intensity was of sustained 60 mph at time of landfall. In San Juan the wind report was of 40 mph with a pressure of 29.66 in/hg or 1004 millibars. Rainfall amounts of 2-3 inches were reported. The strongest winds in Puerto Rico were reported at Fajardo with sustained 50 mph and a gust to 60 mph. Damage was minimal.
  • Tropical Storm Klaus

    Tropical Storm Klaus

    Second storm in Puerto Rico's history in the month of November and is often remembered by the fact that it hit the island in the election's day of 1984. The system developed south of Puerto Rico in the Caribbean Sea in November 5th, moving northeastward and strengthening to tropical storm intensity the center of the storm passed just east extreme Eastern Puerto Rico during the night of the 7th. The storm's intensity was of around 50 to 60 mph but the area of strongest winds remained offshore Pue
  • Hurricane Hugo

    Hurricane Hugo

    (Category 4) Hugo greatly affected Vieques and Culebra and the eastern half of Puerto Rico. One was the death of two people, one in Culebra for refusing to leave their boat and the other person was found drowned in Fajardo. Were recorded between 90-100000 refugees of which 13 000 were left homeless. Damage to private and public property caused by the winds were estimated at about a trillion.
  • Hurricane Luis

    Hurricane Luis

    The biggest effect of hurricane Luis in Puerto Rico was the chaos that put in test the capability of the government and the people for preparing for a major hurricane. Luis was the first big threat of a major storm in Puerto Rico since hurricane Hugo in 1989 and was a preamble for what the island experienced three years later with hurricane Georges. Category 4.
  • Hurricane Marilyn

    Hurricane Marilyn

    Category 4.The damage in the main island of Puerto Rico was minimal again but Vieques and Culebra did not escape the core of the hurricane. Damage in Vieques was moderate with some houses that lost their roofs, power lines down and lots of tree damage. Culebra had much severe damage as the eyewall blasted through there with many of the homes affected there, trees and power and water services severely damage and with damage estimates comparatively close to those of hurricane Hugo there in 1989.
  • Tropical Storm Bertha

    Tropical Storm Bertha

    Bertha passed only 30 nm northeast of Puerto Rico but tropical storm conditions were felt in the island, hurricane conditions might have been possible in Culebra which was near the southern eyewall of the storm along with St. Thomas. The highest wind report in Puerto Rico was of 47 mph with a gust to 62 mph in San Juan and a pressure of 992 millibars was measured in Roosevelt Roads. Damage in the island was relatively minimal with trees down, power outages and river flooding. Three deaths were r
  • Hurricane Hortense

    Hurricane Hortense

    He went to the south of the island, from Guayanilla to Mayaguez. Despite being a category 1 its torrential rains caused severe flooding. The most affected was the town of Guayama caused the death of 18 people due to flooding caused by the waters of Guamaní.
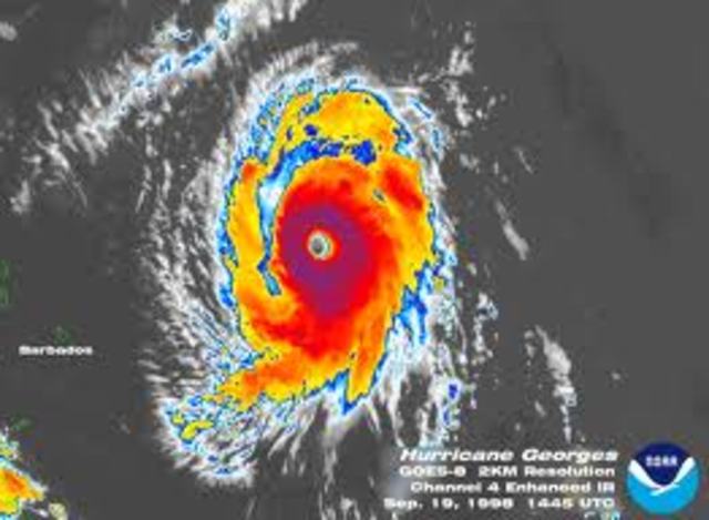
  • Hurricane George

    Hurricane George

    Was a powerful and long-lived Cape Verde-type Category 3 hurricane which caused severe destruction as it traversed the Caribbean and Gulf of Mexico in September 1998, making seven landfalls along its path. It became the second most destructive storm of the season after Hurricane Mitch
  • Tropical Storm Jose

    Tropical Storm Jose

    Tropical Storm José then passed just north of the US Virgin Islands and around 20 nm north of Culebra, Puerto Rico early in the afternoon of the 21st and later that afternoon around 45 nm northeast of Fajardo, Puerto Rico. Tropical storm force winds were measured unofficially in Luquillo early in the 21st with around 40-45 mph sustained with a peak gust of 55 mph. This was the only report of tropical storm intensity winds in the island, the higher elevations high have gotten tropical storm force
  • Hurricane Lenny

    Hurricane Lenny

    Damage in Puerto Rico was again very minimal with some mud slides, trees down and heavy surf in the southeast coast which brought erosion. Vieques possibly got hurricane conditions and wind damage was more noticeable there. The highest wind report in Puerto Rico was a gust of 48 mph in Roosevelt Roads, nearly 6 inches of rain were reported throughout the event. Category 3.
  • Tropical Storm Jeanne

    Tropical Storm Jeanne

    Jeanne found favorable upper-level winds and continued to strengthen becoming nearly a hurricane when landfall occurred at around midday AST in the 15th near Maunabo, Puerto Rico with an official intensity estimate of 60 kts (70 mph) sustained winds. For the next 6 to 8 hours the center of the storm crossed Puerto Rico exiting the island near Arecibo but finally emerging out in the ocean near Aguadilla in the night of the 15th. Jeanne was the worst tropical cyclone to hit Puerto Rico since hurri
  • Hurricane Irene

    Hurricane Irene

    On August 21, the storm made a second landfall in Puerto Rico. While crossing the island, Irene strengthened into a Category 1 hurricane.

Want to make a timeline like this?

Use Timetoast to turn dates, events, milestones, and phases into a clear visual timeline you can build and share. Timetoast is a timeline maker for work, school, research, and stories.