Stuff

Hurricane Katrina

  • Mississippi Civil Rights Workers Murders

  • North Korea gets weapons of mass destruction

    North Korea gets weapons of mass destruction

  • The Patent Law Treaty goes into effect.

  • Nintendo opensup its first retail store

    Nintendo opensup its first retail store

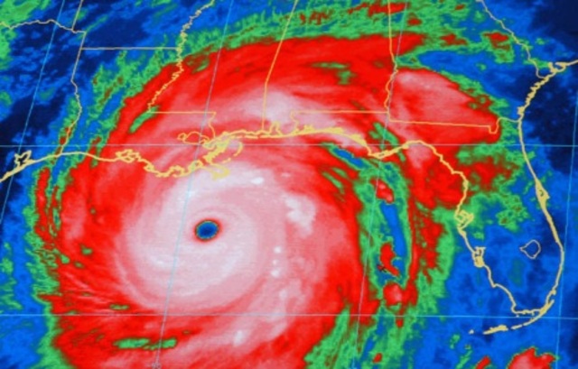
  • Hurrican Katrina

    Hurrican Katrina

    Hurricane Katrina hit The Bahamas, South Florida, Cuba, Louisiana, Mississippi, Alabama, and The Florida Panhandle in August 23rd in 2005, Katrina finally dissipated on August 30th. Katrina was one of the most deadliest and most destructive of the 2005 hurricane season. As many as 1,833 deaths have been confirmed. Katrina left many places a wreck wherever it has been. New Orleans had some of the worst damages because the cities floodwalls had failed them. Even so, Louisiana had the worst destru
  • Apple computers announced iTunes 5

    Apple computers announced iTunes 5

Plan projects on a visual timeline

Map milestones, phases, deadlines, and key events in one place so the sequence is easier to see and share. Timetoast is a timeline maker for work, school, research, and stories.