Assassination of John F. Kennedy
i-Do-WhAt-I-WaNt's profile
Joined about almost 14 years ago.
i-Do-WhAt-I-WaNt's timelines
Assassination of John F. Kennedy
Moon Landing
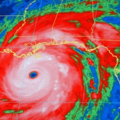
Hurricane Katrina