Download

Dorian

  • Dorians first time in the news

    Dorians first time in the news

    Dorian forms in the Atlantic ocean speculation begins on how bad it can become
  • Dorian makes it to ST.Lucia as a dangerous tropical storm

    Dorian makes it to ST.Lucia as a dangerous tropical storm

    High damage from winds and flood homes destroyed
  • Becomes hurricane

    Becomes hurricane

    Dorian becomes a hurricane near Puerto Rico alerts and precautions are being taken by people in the caribbean
  • Dorian goes through Caribbean

    Dorian goes through Caribbean

    Dorian spares Caribbean its worst
    The storm moved through the Virgin Islands and dealt Puerto Rico a glancing blow.
    Parts of the U.S. Virgin Islands lost power and a curfew was imposed.
    At a resort in St. Thomas, surprise at the storm’s fury.
    Florida is bracing for Dorian to hit as a Category 3 hurricane over the holiday weekend.
  • Dorian becomes category 3

    Dorian becomes category 3

    Dorian moving slowly west becomes a category 3 hurricane and is estimated to do a lot of damage to whatever comes in it's path
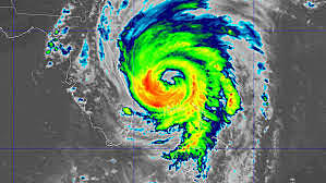
  • Dorian category 5

    Dorian category 5

    Dorian hits peak intensity as a category 5 hurricane with winds around 185 MPH
  • Dorian stalls

    Dorian stalls

    Dorian stops moving temporarily said to have looked like it was teasing the land around it and begins moving again
  • Dorian hits Bahamas

    Dorian hits Bahamas

    Dorian devastated Bahamas as death toll rises to around 23 and the area around like the buildings destroyed streets covered in wreckage remain crumbling
  • Dorian makes landfall

    Dorian makes landfall

    Dorian neared cape hatteras, NC with some sustained damages moving quickly estimated to slow down
  • Landfall again

    Landfall again

    Hurricane dorian hits near Nova Scotia Canada with minor damage compared to previous hits
  • Post tropical cyclone Dorian

    Post tropical cyclone Dorian

    Dorian now a "post tropical cyclone" is estimated to continue to do damage to areas in it's path but Dorian itself is losing strength according to some weather experts
  • Nasa estimates path of future hurricanes including Dorian

    Nasa estimates path of future hurricanes including Dorian

    On September 9, Hurricane Dorian was a post-tropical storm after a mid-latitude weather front and cold seas had altered its tropical characteristics over the weekend. NASA compiled data on Hurricane Dorian and created a map that showed the heavy rainfall totals it left in its wake from the Bahamas to Canada. People ask if storms like Dorian are the "new normal"
  • Death toll

    Death toll

    There has been a few deaths almost everywhere Dorian hit but now the death toll has reached 50 in the Bahamas alone Dorian now dying off but still strong Forty-two bodies have been found in Abaco and eight recovered on Grand Bahama, said Anthony Ferguson, commissioner of Royal Bahamas Police Force. Officials are saying they must act to rebuild the community's that were destroyed but to defend against hurricanes in the future. Dorian will not be the last Hurricane to devastate the area.
  • people of the Bahamas

    people of the Bahamas

    The spirit of the people in the Bahamas affected by hurricane dorian seems undamaged people share their stories as they walk around and help rebuild what happened there
  • attacked again

    attacked again

    Behind the wake of hurricane Dorian two more forming tropical storms are forming and potentially could move to areas already affected by Dorian like the Bahamas a place already devastated

Want to make a timeline like this?

Use Timetoast to turn dates, events, milestones, and phases into a clear visual timeline you can build and share. Timetoast is a timeline maker for work, school, research, and stories.