los huracanes mas debastadores del mundo

  • 1780, El Gran Huracán

    1780, El Gran Huracán

    el huracán San Calixto II, ocurrió del 10 al 16 de octubre de 1780 y es para la mayoría el huracán más destructivo de la historia en la cuenca atlántica, con el mayor número de víctimas mortales de los que tenemos datos. No se tiene constancia del nivel que adquirió, ni de la velocidad a la que soplaba el viento, pero las consecuencias de este huracán exceden ampliamente las consecuencias de otros ocurridos después en el Atlántico, también muy destructivos.
  • 1969, Huracán Camille

    1969, Huracán Camille

    El Huracán Camille es, junto con los huracanes Galveston y Katrina, el huracán más intenso que han visto los Estados Unidos. Alcanzó una velocidad sostenida de 320 km/h y una presión atmosférica de 905 milibares. Azotó Mississippi, Luisiana, en agosto de 1969 y alcanzó la categoría 5 en la escala Saffir-Simpson. Causó daños catastróficos al impactar cerca de la desembocadura del Río Mississippi durante la noche del 17 de agosto. En total tuvo 259 víctimas mortales y causó daños por 1.420 millo
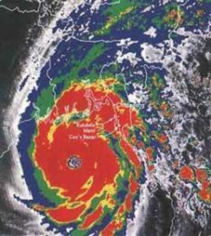
  • 1970, Ciclón Bhola en Bangladesh

    1970, Ciclón Bhola en Bangladesh

    El ciclón Bhola de Bangladesh es el mayor desastre tropical del que se tiene constancia. Fue un devastador ciclón que asoló el este de Pakistán y el oeste de Bengala,
  • 1988, Huracán Gilbert

    1988, Huracán Gilbert

    Huracán del Siglo (XX), y en Cuba como El Huracán Asesino, es otro de los huracanes registrados más devastadores que ha conocido la vertiente atlántica. Este ciclón golpeó durante 9 días el Caribe y el Golfo de México en septiembre de 1988.
  • 1991, Ciclón de Bangladesh

    1991, Ciclón de Bangladesh

    Este ciclón de Bangladesh tuvo vientos de 260 Km/h, alcanzó la categoría 5. Es el segundo en número de muertos, sólo por debajo del ciclón Bhola, la mayoría en la zona de Chittagong. La tormenta provocó una marejada ciclónica de 6 metros que entró tierra adentro, matando al menos a 138.000 personas y dejando a 10 millones de personas sin hogar.
  • 1998, Huracán Mitch

    1998, Huracán Mitch

    El huracán Mitch es el segundo huracán más mortífero de la vertiente atlántica del que se tiene constancia, con unos vientos sostenidos de 290 Km/h como velocidad máxima. Este huracán dejó tras de sí a 18.000 muertos en América Central entre el 22 de octubre y el 5 de noviembre de 1998. Sólo ha sido superado en número de muertos por el Gran Huracán de 1780. Causó unas pérdidas económicas de miles de millones de dólares.
  • 2005, Huracán Katrina

    2005, Huracán Katrina

    El huracán Katrina asoló el sur y el centro de los Estados Unidos en agosto de 2005. El Katrina se formó sobre las Bahamas y comenzó siendo un huracán de categoría 1, tocando tierra en el norte de Miami por primera vez. Durante esta primera etapa el Katrina dejó 11 muertos y grandes inundaciones.
  • 2008, Ciclón Nargis

    2008, Ciclón Nargis

    El Ciclón Nargis fue un fuerte ciclón tropical que causó el peor desastre natural registrado en la historia de Birmania, oficialmente Unión de Myanmar. El ciclón llegó a la costa el 2 de mayo de 2008, causando una destrucción catástrofica y al menos 138.000 víctimas mortales. Solamente en el pueblo de Labutta se estima que murieron 80.000 personas, y sobre 10.000 en Bogale. Desaparecieron unas 55.000 personas. El gobierno no publicó cifras oficiales para minimizar el impacto político y e
  • 1900, Huracán Galveston

    1900, Huracán Galveston

    El Huracán Galveston tuvo lugar en Texas, Estados Unidos, el 8 de septiembre del año 1900. Se estima que alcanzó vientos de 217 km/h , con una categoría 4 en la escala Saffir-Simpson. Causó grandes pérdidas en vidas humanas, que se calculan entre 6.000 y 12.000 personas. La cifra de los informes oficiales es 8.000, el 20% de la población total de la isla en aquella época, situando a éste huracán en el tercer puesto en número de muertos de los huracanes del atlantico