historia de los huracanes mas devastadores del mundo

  • 1780, El Gran Huracán

    1780, El Gran Huracán

    El Gran Huracán, también conocido como el huracán San Calixto II, ocurrió del 10 al 16 de octubre de 1780 y es para la mayoría el huracán más destructivo de la historia en la cuenca atlántica, con el mayor número de víctimas mortales de los que tenemos datos.
  • 1900, Huracán Galveston

    1900, Huracán Galveston

    El Huracán Galveston tuvo lugar en Texas, Estados Unidos, el 8 de septiembre del año 1900. Se estima que alcanzó vientos de 217 km/h , con una categoría 4 en la escala Saffir-Simpson
  • 1969, Huracán Camille

    1969, Huracán Camille

    El Huracán Camille es, junto con los huracanes Galveston y Katrina, el huracán más intenso que han visto los Estados Unidos. Alcanzó una velocidad sostenida de 320 km/h y una presión atmosférica de 905 milibares.
  • 1970, Ciclón Bhola en Bangladesh

    1970, Ciclón Bhola en Bangladesh

    El ciclón Bhola de Bangladesh es el mayor desastre tropical del que se tiene constancia. Fue un devastador ciclón que asoló el este de Pakistán (ahora Bangladesh) y el oeste de Bengala (India),
  • 1988, Huracán Gilbert

    1988, Huracán Gilbert

    El Huracán Gilbert, conocido también como huracán Gilberto, Huracán del Siglo (XX), y en Cuba como El Huracán Asesino, es otro de los huracanes registrados más devastadores que ha conocido la vertiente atlántica.
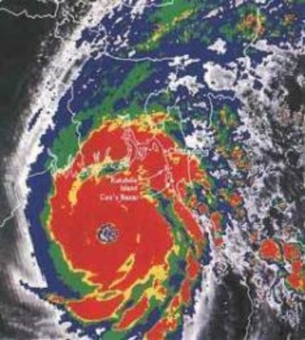
  • 1991, Ciclón de Bangladesh

    1991, Ciclón de Bangladesh

    Este ciclón de Bangladesh tuvo vientos de 260 Km/h, alcanzó la categoría 5. Es el segundo en número de muertos, sólo por debajo del ciclón Bhola, la mayoría en la zona de Chittagong
  • 1998, Huracán Mitch

    1998, Huracán Mitch

    El huracán Mitch es el segundo huracán más mortífero de la vertiente atlántica del que se tiene constancia, con unos vientos sostenidos de 290 Km/h como velocidad máxima
  • 2005, Huracán Katrina

    2005, Huracán Katrina

    El huracán Katrina asoló el sur y el centro de los Estados Unidos en agosto de 2005.
  • 2008, Ciclón Nargis

    2008, Ciclón Nargis

    El Ciclón Nargis fue un fuerte ciclón tropical que causó el peor desastre natural registrado en la historia de Birmania, oficialmente Unión de Myanmar.
  • Ciclones extratropicales

    Ciclones extratropicales

    Aunque se ha dicho que los huracanes se producen en zonas tropicales, también se dan en otros sitios, y por otras razones: por ejemplo, los llamados ciclones extratropicales, como el Xynthia, que se vivió en España, Francia y Portugal en febrero de 2010 o el Klaus, que pasó por España y Francia en enero de 2009.